|
|
|
|
Sei nella sezione Mondo   -> Categoria:  Cronaca dal Mondo
|
|
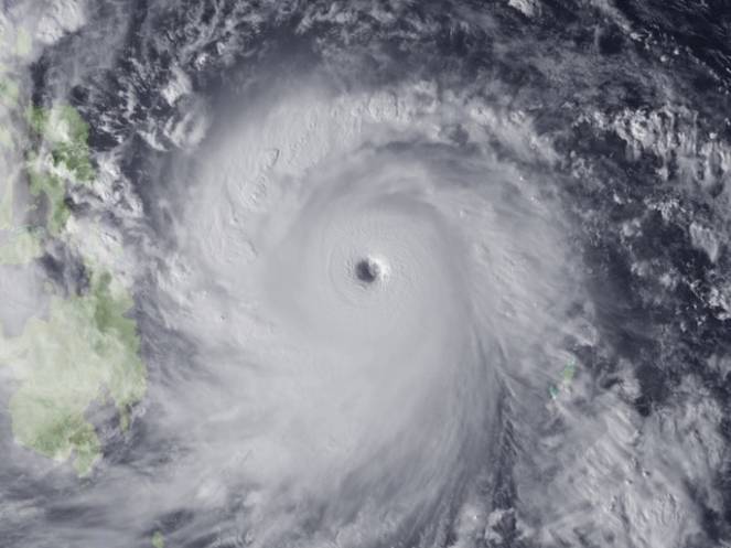
Le autorità hanno decretato lo stato d'emergenza in decine di città site negli stati si Colima, Nayarit e Jalisco, dove la popolazione è stata invitata a rifugiarsi in zone sicure. Secondo il Centro nazionale uragani (Nhc) Patricia potrebbe dirigersi in Texas e provocare altrettanti disastri. La sua potenza è monitorata costantemente, registrando venti con picchi fino a 325 chilometri orari. Roberto Ramirez de la Parra, responsabile della Commissione nazionale per le risorse idriche, ha affermato che Patricia sarà, probabilmente, il più potente uragano dal 1949, anno in cui i fenomeni sono stati seguiti in modo sistematico in Messico. Anche la stampa non ha mancato di sottolineare che Patricia è il peggiore uragano della storia del Pacifico. La sua potenza è data anche dai 30 gradi delle acque del Pacifico. Il presidente messicano Enrique Pena Nieto ha convocato una riunione d'emergenza per coordinare le operazioni affidando e a tre membri del gabinetto, il compito di monitorare un relativo stato. Inoltre il presidente ha lanciato un appello alla popolazione esortandola a seguire le indicazioni delle autorità locali e di fare attenzione perché Patricia è un uragano "estremamente pericoloso". La popolazione ha preso alla lettera le raccomandazioni del presidente e dalla mattina i cittadini si sono dati allo shopping frenetico, comprando bidoni di acqua minerale, scatolette di alimenti, medicine e materiale isolante. Molti cittadini hanno poi rafforzato le proprie case con pannelli di legno, pronti a rinchiudersi all'interno delle proprie abitazioni aspettando l'arrivo di Patricia. |
|
Cosa ne pensi? |
|
|
Per commentare l'articolo occorre essere loggati e rispettare la netiquette del sito. Se sei registrato effettua il login dal box qui a sinistra. Se ancora non sei registrato fallo cliccando qui |
| I commenti: | |||
|
Commento
1)
|
|||
| Commento di: emilia.urso | Ip:83.73.103.204 | Voto: 7 | Data 29/04/2026 05:47:43 |
Sei
iscritto su Facebook, Twitter o G+?
Commenta e condividi l'articolo direttamente.
Cos'è uno Stato senza i cittadini? Nulla. Cosa sono i cittadini senza lo Stato? La risposta la conosciamo tutti, perchè lo Stato italiano palesemente, sta lasciando alla deriva la motivazione fondamentale della sua stessa esistenz

La rete più articolata, e che riguarda uno degli importi più elevati da record, è stata scoperta dall'Unità di informazione finanziaria (FIU) del Tesoro nel 2014.

I primi momenti della vita di un neonato dovrebbero trascorrere tra le braccia di sua madre, non in un ospedale in fiamme con proiettili e bombe che piovono...

Le organizzazioni criminali stanno ricorrendo ai servizi di consegna di cibo per trasportare la droga e altre sostanze illecite, mentre i Paesi sono in preda al lockdown a causa della pandemia globale di Covid-19.

Il consumo di cannabis in Olanda e’ aumentato durante la crisi causata dall’avvento del coronavirus.